Αυστραλία: Κυκλώνας και καταρρακτώδης βροχή πλήττουν τις ακτές της χώρας

 
Αυστραλία: Κυκλώνας και καταρρακτώδης βροχή πλήττουν τις ακτές της χώρας

Ενημερώθηκε: 09/02/20 - 10:13

Ο κυκλώνας Ντάμιεν, ο οποίος έχασε μεγάλο μέρος της δύναμης του, έπληξε σήμερα την περιοχή με μεταλλευτική δραστηριότητα Πίλμπαρα, στην πολιτεία της Δυτικής Αυστραλίας, ενώ οι καταιγίδες προκάλεσαν πλημμύρες στις ανατολικές περιοχές της χώρας που σαρώνουν εδώ και μήνες καταστροφικές πυρκαγιές.

Οι μετεωρολογικές υπηρεσίες ανακοίνωσαν ότι ο Ντάμιεν υποβαθμίστηκε σήμερα σε καταιγίδα κατηγορίας 1 με ανέμους που φθάνουν τα 100, τους οποίους συνοδεύουν ισχυρές βροχοπτώσεις που μπορεί να προκαλέσουν πλημμύρες.

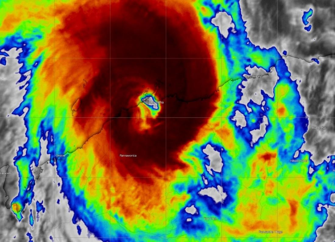
Σήμερα ο κυκλώνας κατευθύνεται νοτιοανατολικά και αναμένεται να διασχίσει την αραιοκατοικημένη περιοχή Πίλμπαρα, νευραλγικό κέντρο της μεταλλευτικής βιομηχανίας της Αυστραλίας.

Ο τροπικός κυκλώνας Ντάμιεν "θα συνεχίσει να εξασθενεί καθώς κινείται προς την ενδοχώρα", διευκρίνισαν οι μετεωρολογικές υπηρεσίες.

Όταν ο κυκλώνας άρχισε να σαρώνει την περιοχή το βράδυ του Σαββάτου, ήταν κατηγορίας 3, με ανέμους που έφθαναν τα 195 χλμ./ώρα, αναγκάζοντας τους κατοίκους να κλειστούν στα σπίτια τους.

Στο πέρασμά τους οι σφοδροί άνεμοι και οι βροχοπτώσεις κατέστρεψαν δέντρα, στέγες, ενώ κόπηκε η ηλεκτροδότηση στις παράκτιες πόλεις Ντάμπερ και Καράθα της περιοχής Πίλμπαρα.

Την ίδια στιγμή, οι βροχοπτώσεις τις τελευταίες ημέρες στην ανατολική ακτή της Αυστραλίας προκάλεσαν αιφνίδιες πλημμύρες στη Νέα Νότια Ουαλία και στην Κουίνσλαντ.

Σε αυτές τις δύο πολιτείες οι αρχές εξέδωσαν προειδοποίηση για πλημμύρες σε περίπτωση υπερχείλισης περισσότερων από δέκα ποταμών, κυρίως στο Σίδνεϊ.

Η πιο πυκνοκατοικημένη πόλη της Αυστραλίας με πέντε εκατομμύρια κατοίκους είχε έντονες βροχοπτώσεις.

Η αστυνομία της Νέας Νότιας Ουαλίας ανακοίνωσε ότι διέσωσε δεκάδες αυτοκινητιστές των οποίων τα αυτοκίνητα παγιδεύτηκαν στις πλημμύρες.

Οι υπηρεσίες διάσωσης έλαβαν εκατοντάδες κλήσεις για βοήθεια μετά τις πτώσεις γεφυριών, βράχων, στύλων ηλεκτρικού ρεύματος σε αυτοκίνητα και σε σπίτια, που προκάλεσαν διακοπές στην ηλεκτροδότηση σε ορισμένες περιοχές.

Αυτές οι καταρρακτώδεις βροχές, που σημειώνονται έπειτα από μήνες καταστροφικών δασικών πυρκαγιών, επέτρεψαν να σβήσουν δεκάδες εστίες που παρέμεναν εκτός ελέγχου, δίνοντας ελπίδες για πιθανό τέλος αυτής της πρωτόγνωρης κρίσης.

Μία από τις μεγαλύτερες πυρκαγιές, έκτασης 5.000.000 στρεμμάτων νότια του Σίδνεϊ, έσβησε χθες βράδυ μετά τις βροχοπτώσεις που ωφέλησαν και αρκετές περιοχές, οι οποίες μαστίζονταν από την ξηρασία. Ο υγρός καιρός αναμένεται να συνεχιστεί την επόμενη εβδομάδα.