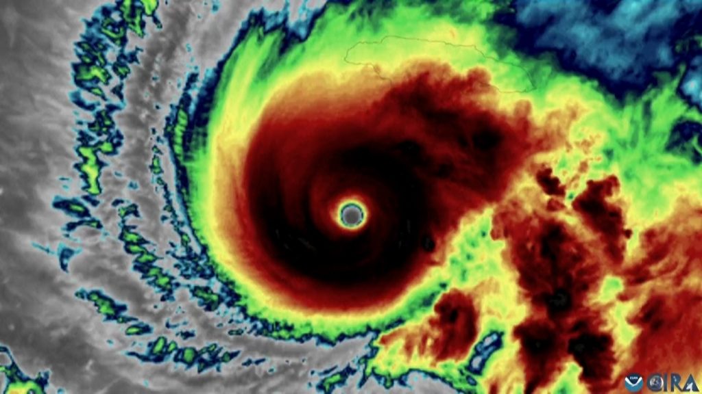
Ο τυφώνας Μελίσσα υπέστη ραγδαία ενίσχυση, φτάνοντας στην σπάνια κατηγορία 5 με ανέμους 175 μιλίων την ώρα και ακόμη ισχυρότερες ριπές, καθιστώντας τον την ισχυρότερη καταιγίδα στον πλανήτη φέτος.
Η Τζαμάικα δεν έχει δεχτεί άμεσο πλήγμα από τυφώνα εδώ και πάνω από μία δεκαετία, και ποτέ στην καταγεγραμμένη ιστορία από τυφώνα ισχυρότερο της Κατηγορίας 4. Έχει διαταχθεί υποχρεωτική εκκένωση για τις ευάλωτες παράκτιες περιοχές της Τζαμάικα, ενόψει της αναμενόμενης προσβολής από τη Μελίσσα το πρωί της Τρίτης.
Το Εθνικό Κέντρο Τυφώνων προειδοποίησε για κατολισθήσεις, «καταστροφικές ξαφνικές πλημμύρες» και ανέμους που «μπορεί να προκαλέσουν ολική κατάρρευση κτιρίων», καθώς ο τυφώνας συνοδεύεται από ανέμους των οποίων η ταχύτητα φθάνει τα 280 χλμ/ώρα. Ο τυφώνας Μελίσσα έχει ήδη σκοτώσει τρία άτομα στην Αϊτή, τρία στην Τζαμάικα και ένα στη Δομινικανή Δημοκρατία.
Περισσότεροι από 52.000 άνθρωποι στην Τζαμάικα έχουν μείνει χωρίς ρεύμα καθώς πλησιάζει ο τυφώνας Μελίσσα, δήλωσαν οι αρμόδιοι.
Τα συνεργεία επανέφεραν το ρεύμα σε πάνω από 30.000 καταναλωτές, αλλά οι ισχυρές βροχοπτώσεις και το δύσβατο έδαφος καθυστερούν τις προσπάθειες να αποκατασταθεί η ηλεκτροδότηση στους υπόλοιπους, σύμφωνα με την Jamaica Public Service (JPS).
«Θα συνεχίσουμε να αποκαθιστούμε το ρεύμα στις πληγείσες κοινότητες όσο είναι ασφαλές για τα συνεργεία μας να εργάζονται», ανέφερε η JPS.
Εκτός από την Τζαμάικα, ο τυφώνας Μελίσσα προβλέπεται να πλήξει την Κούβα αργά το βράδυ της Τρίτης ή νωρίς το πρωί της Τετάρτης. Από εκεί, θα επηρεάσει τμήματα στις Μπαχάμες και γύρω περιοχές.
Παράλληλα, σε ισχύ παραμένει προειδοποίηση τροπικής καταιγίδας για τα νησιά Τερκς και Κέικος, αλλά και για τις Μπαχάμες. Αυτές οι προειδοποιήσεις σημαίνουν ότι ισχυρές ριπές ανέμου αναμένονται μέσα στις επόμενες 36 ώρες.

Ορισμένοι κάτοικοι παραθαλάσσιων περιοχών της Τζαμάικα δηλώνουν ότι δεν θα εκκενώσουν τις περιοχές τους
Ορισμένοι κάτοικοι της Τζαμάικα λένε ότι δεν θα εκκενώσουν τα σπίτια τους παρά την απειλή καταστροφής που αναμένεται να φέρει στον νησί ο τυφώνας Μελίσσα.
«Ακούω τι λένε, αλλά δεν φεύγω», δήλωσε ο Νοέλ Φράνσις, 64 ετών, ψαράς, στο Associated Press.
Ο Φράνσις ζει στην παραλία στην νότια πόλη Old Harbor Bay, όπου γεννήθηκε. «Μπορώ να τα καταφέρω μόνος μου», είπε.
Ο γείτονάς του, Μπρους Ντόκινς, επίσης δήλωσε ότι θα μείνει και θα αντιμετωπίσει την καταιγίδα μαζί με τον φίλο του. «Δεν πηγαίνω πουθενά», είπε.
Μία ακόμη κάτοικος, η Χιασίνθ Γουάιτ, δήλωσε ότι ενώ ανησυχεί για τα επίπεδα των υδάτων, δεν έχει σχέδιο να εκκενώσει.
«Η μόνη μου ανησυχία είναι η πλημμύρα, επειδή ζούμε κοντά στη θάλασσα», είπε η Γουάιτ.

Η Σάντρα Γουόκερ, μονογονέας με δύο παιδιά, είπε ότι δεν είχε «καμία επιλογή» παρά να παραμείνει στο μαγαζί της, φτιάχνοντας τα προϊόντα που πουλάει.
Η Γουόκερ είπε ότι δεν θα πάει σε καταφύγιο λόγω μιας «τρομερής» εμπειρίας που είχε κατά τον τυφώνα Ίβαν το 2004, όταν, όπως είπε, της προσφέρθηκαν μόνο μερικά κονσερβοκούτια με κρέας για να τα μοιραστεί, σύμφωνα με το Associated Press.

Το νερό και όχι ο άνεμος, αποτελεί τη μεγαλύτερη απειλή
Η Μελίσσα αναμένεται να φέρει έντονες βροχοπτώσεις σε ολόκληρη τη βόρεια Καραϊβική. Η Τζαμάικα θα πληγεί περισσότερο, με βροχοπτώσεις που θα φτάνουν τα 500-750 χιλιοστά και μεμονωμένες βροχοπτώσεις που θα ξεπερνούν τα 1000 χιλιοστά στα ανατολικά βουνά. Τέτοιου είδους βροχοπτώσεις ενέχουν κίνδυνο για τη ζωή των κατοίκων, καθώς προκαλούν πλημμύρες και κατολισθήσεις.
Ακόμα κι αν οι άνεμοι του τυφώνα εξασθενήσουν, το νερό δεν θα το κάνει, σύμφωνα με μετεωρολογική πρόγνωση του CNN.
Επιπλέον, οι ισχυροί άνεμοι του τυφώνα κατά μήκος της ακτής θα δημιουργήσουν κύμα θύελλας ύψους έως 13 ποδών κατά μήκος της νότιας ακτής της Τζαμάικας την Τρίτη — νερό που μπορεί να προωθηθεί βαθιά στην ενδοχώρα και να αποκόψει ολόκληρες κοινότητες.

Μπορεί ο τυφώνας να ενισχυθεί περαιτέρω;
Η Μελίσσα παραμένει τυφώνας Κατηγορίας 5 με ανέμους 175 μίλια/ώρα μέχρι τις 2 π.μ. ώρα Ανατολικής Ακτής (ET), σύμφωνα με το Εθνικό Κέντρο Τυφώνων (National Hurricane Center). Ωστόσο, η ελάχιστη κεντρική πίεση της καταιγίδας μειώθηκε από 909 χιλιοπασκάλ τη Δευτέρα το βράδυ σε 901 χιλιοπασκάλ νωρίς την Τρίτη.
Γενικά, όσο χαμηλότερη είναι η πίεση, τόσο ισχυρότερη είναι η καταιγίδα, επομένως αυτή η πτώση δείχνει ότι η Μελίσσα μπορεί να αποκτά δύναμη τις επόμενες ώρες.
Για σύγκριση, η χαμηλότερη πίεση του τυφώνα Κατρίνα ήταν 902 mb, καθιστώντας τη Μελίσσα ακόμη πιο ισχυρή από την καταιγίδα του 2005 που κατέστρεψε τμήματα της Αμερικανικής Ακτής του Κόλπου.